Działka Pelplin Pelplin

AMK Portal Sp. z o.o. Biuro nieruchomości

Wyślij wiadomośćKontakt z właścicielem

Działka Pelplin

Pelplin [woj. Pomorskie, pow. tczewski, gm. tczewski]

Dodane 21 godzin temu, Czwartek, 9 kwiecień 2026 19:20

419 590 zł 3 003 m2
Cena:
419 590 zł
Powierzchnia:
3 003 m2
Cena za metr:
140 zł/m2
Typ działki:
Handlowo usługowe
ID oferty:
K37507871
Rynek:
Dzialki na sprzedaż Pelplin

Opis

RPŚ.Pokaż numer telefonu.KR
Pelplin, dnia 07 kwietnia 2026 r.


O G Ł O S Z E N I E


Na podstawie art. 30 ust. 2 pkt. 3 ustawy z dnia 8 marca 1990 r. o samorządzie gminnym (Dz. U. z 2024r. poz. 1465 ze zmianami), w związku z art. 37 ust. 1 i art. 38 ust. 1 i 2 ustawy z dnia 21 sierpnia 1997 r., o gospodarce nieruchomościami (Dz. U z 2026 poz. 399) oraz §3 ust. 1 rozporządzenia Rady Ministrów z dnia 14 września 2004 r., w sprawie sposobu i trybu przeprowadzania przetargów oraz rokowań na zbycie nieruchomości (Dz. U. 2021 poz. 2213) §8 Uchwały XVII/150/12 Rady Miejskiej w Pelplinie z dnia 29 marca 2012r., w sprawie zasad gospodarowania nieruchomościami stanowiącymi własność Gminy Pelplin (Dziennik Urzędowy Województwa Pomorskiego z dnia 27 kwietnia 2012r., poz. 1534), Burmistrz Miasta i Gminy Pelplin ogłasza trzeci nieograniczony przetarg ustny na sprzedaż prawa własności niżej opisanej nieruchomości gruntowej:

- nr działki

- pow.

- księga wieczysta

- położenie

opis nieruchomości

cena nieruchomości

dz. nr 605/2

o pow. 0,3003 ha

GD1T/00016717

Gmina: Pelplin

obręb geodezyjny
Pelplin

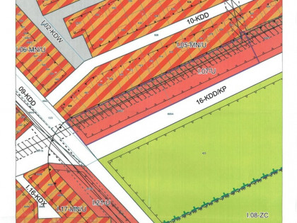
Działka położona jest w północno zachodniej części zabudowy Pelplina. Otoczenie nieruchomości od strony północnej, zachodniej i południowo – zachodniej stanowi zabudowa budynków mieszkalnych jednorodzinnych, wolnostojących i bliźniaczych. Otoczenie od strony południowej i południowo- wschodniej stanowi teren cmentarza. Wjazd na obwodnicę Pelplina znajduje się w odległości ok 250 m odległość od wjazdu na autostradę A1 w miejscowości Ropuchy wynosi ok 3,5 km. Kształt działki przypomina trapez, teren jest pofałdowany, bez większych wzniesień czy zagłębień. Działka jest użytkowana w niewielkiej części, pozostały obszar jest niezagospodarowany, niezabudowany, porośnięty trawą i pojedynczymi drzewami. Nad gruntem przebiega napowietrzna linia energetyczna oraz betonowy słup przesyłowy. Nieruchomość posiada bezpośredni dostęp do dróg gminnych, nie posiada urządzonego wjazdu. Obszar, na którym położona jest działka nr 605/2 o. Pelplin, jest objęta miejscowym planem zagospodarowania przestrzennego dla obszaru położonego w północno – zachodniej części miasta Pelplin przyjętym Uchwałą Rady Miejskiej w Pelplin nr XLIV/383/22 z dnia 24 czerwca 2022 r. Obszar działki nr 60/1 oznaczony jest na rysunku planu symbolem I.07-U (tereny zabudowy usługowej).

Cena wywoławcza nieruchomości:
419 590,00 zł
do ceny wylicytowanej doliczony zostanie podatek VAT w wysokości 23%
wadium w wysokości 20 % ceny wywoławczej netto:
83 918,00 zł

minimalne postąpienie:
4 195,90 zł



1. TERMIN PRZETARGU: PRZETARG ODBĘDZIE SIĘ DNIA 08 MAJA 2026 r., godz. 9:00 w budynku Urzędu Miasta i Gminy w Pelplinie, Pl. Grunwaldzki 4 (I piętro, sala ślubów).
1) TERMIN PIERWSZEGO PRZTARGU: 17.10.2025 R
2) TERMIN DRUGIEGO PRZTARGU: 20.02.2026 R

2. Brak zobowiązań wieczystoksięgowych dla nieruchomości gruntowych objętych niniejszym przetargiem.

3. Obciążenia:
W granicach nieruchomości objętej przetargiem przebiega napowietrzna linia energetyczna oraz zlokalizowany jest betonowy słup przesyłowy.

4. Zobowiązania Nabywcy:
1) niezbędną dla realizowanej inwestycji infrastrukturę, Nabywca wykona we własnym zakresie i na własny koszt;
2) nabywca zobowiązany będzie do usunięcia ewentualnych bezumownych użytkowników nieruchomości objętej przetargiem .

5. Rodzaj zbycia: sprzedaż prawa własności w drodze przetargu ustnego nieograniczonego.

6. Wadium należy wpłacić w terminie do dnia 04 maja 2026 r. na konto Urzędu Miasta i Gminy Pelplin BS Skórcz 0/Pelplin Pokaż numer telefonuPokaż numer telefonu 2000 0004 – dowodem wpłaty wadium jest potwierdzenie z banku lub z poczty.
1) Dowód wniesienia wadium podlega przedłożeniu komisji przetargowej przed otwarciem przetargu.
2) Wadium wpłacone przez uczestnika, który przetarg wygrał, zaliczone zostanie na poczet ceny nabycia gruntu.
3) Wadium ulega przepadkowi w razie uchylenia się uczestnika, który przetarg wygrał od zawarcia umowy.
4) Terminem wpłaty wadium jest uznanie na rachunku bankowym Gminy Pelplin.
5) Osobom, które nie wygrały przetargu, wadium zostanie wypłacone w terminie 3 dni od zakończenia przetargu na konto podane przez uczestnika przetargu.
6) Dowód wpłaty wadium, jest równoznaczny z zapoznaniem się przez wpłacającego z warunkami i przedmiotem przetargu i przyjęciu ich bez zastrzeżeń. Przystępując do przetargu oferent akceptuje wszystkie jego warunki.
7) Dowód wpłaty wadium, jest równoznaczny z zapoznaniem się przez wpłacającego z zapisami miejscowego planu zagospodarowania przestronnego stanowiącego załącznik nr 1 do ogłoszenia o przetargu.

7. Minimalne postąpienie: O wysokości postąpienia decydują uczestnicy przetargu, z tym, że postąpienie nie może wynosić mniej niż 1% ceny wywoławczej z zaokrągleniem w górę do pełnych dziesiątek złotych.

8. Uczestnicy przetargu zobowiązani są posiadać dokumenty:
1) Dowód tożsamości, a w przypadku osób prawnych i jednostek organizacyjnych nieposiadających osobowości prawnej, a podlegających wpisom do rejestrów – aktualny wypis z właściwego rejestru, stosowne pełnomocnictwo (ewentualnie zgoda organów statutowych na nabycie przedmiotowej nieruchomości), dowód tożsamości osoby reprezentującej podmiot.
2) Do dokonywania czynności przetargowych konieczna jest obecność obojga małżonków lub jednego z nich z pełnomocnictwem małżonka zawierającym zgodę na odpłatne nabycie nieruchomości; z wyjątkiem małżeństw posiadających rozdzielność majątkową.
3) Uczestnicy biorą udział w przetargu osobiście lub przez pełnomocnika. Pełnomocnictwo wymaga formy pisemnej.
4) Cudzoziemcy (w rozumieniu ustawy z dnia 24 marca 1920r. o nabywaniu nieruchomości przez cudzoziemców) w przypadku wygrania przetargu, zobowiązani są przed zawarciem umowy notarialnej, uzyskać zgodę Ministra Spraw Wewnętrznych i Administracji na nabycie nieruchomości w przypadku, gdy zgoda jest wymagana.

9. Cena sprzedaży nieruchomości brutto, płatna jest w całości przed zawarciem umowy w formie aktu notarialnego. Za datę dokonania wpłaty całej kwoty przyjmuje się datę uznania rachunku bankowego Gminy Pelplin.

10. O terminie zawarcia umowy wygrywający przetarg zawiadamiany jest pisemnie lub telefonicznie.

11. Koszty notarialne oraz ujawnienie nabywcy w księdze wieczystej ponosi nabywca.

12. Nabywca przyjmuje nieruchomość w stanie istniejącym. W przypadku konieczności wznowienia punktów granicznych zbywanej działki, przyszły nabywca wykona je we własnym zakresie i na własny koszt.

13. Sprzedawca nie ponosi odpowiedzialności za wady ukryte nieruchomości.

14. Zastrzega się prawo odwołania przetargu lub jego unieważnienia w przypadku zaistnienia uzasadnionych powodów.

15. Dodatkowych informacji o nieruchomościach udzielają pracownicy Referatu Gospodarki Przestrzennej i Środowiska Urzędu Miasta i Gminy w Pelplinie Pl. Grunwaldzki 4, pokój 30B lub pod nr tel. Pokaż numer telefonu wew. 12.

16. Niniejsze ogłoszenie podlega wywieszeniu na tablicy ogłoszeń w siedzibie Urzędu Miasta i Gminy na okres od dnia 07 kwietnia 2026 r. do dnia 08 maja 2026r. Ogłoszenie zostanie także opublikowane w Monitorze Urzędowym oraz Biuletynie Informacji Publicznej.


Burmistrza Miasta i Gminy Pelplin
Mirosław Chyła


Załącznik do ogłoszenia: Wypis i wyrys z miejscowego planu zagospodarowania przestrzennego z dnia 13.08.2025 r.




Kontakt:
Urząd Miasta i Gminy Pelplin
tel: Pokaż numer telefonu wew. 12
[email] />

Oferta wysłana z programu dla biur nieruchomości ASARI CRM (asaricrm.com)
  • Data aktualizacji: wczoraj
  • ID ogłoszenia: K37507871
Wydrukuj Zgłoś naruszenie
Chcesz mieć na oku podobne nieruchomości?
Włącz powiadomienia i nie przegap okazji!
*Działki na sprzedaż Pelplin, cena: od 356 652 do 482 529 zł, powierzchnia: od 2553 do 3454 m2

Kontakt

AMK Portal Sp. z o.o. Biuro nieruchomości

Wyślij wiadomośćKontakt z właścicielem
Wydrukuj Zgłoś naruszenie

Podobne ogłoszenia

  • 1 / 2
    Działka Gdańsk Śródmieście ul. Elbląska

    Gdańsk  » Śródmieście » ul. Elbląska

    • 4 500 000 zł cena
    • 9 847 m2 powierzchnia
    • 457 zł/m2 cena za metr
    • działka
    • na sprzedaż
    • handlowo usługowa

    Na sprzedaż działka o powierzchni 9847 m2, usytuowana w Gdańsku przy ul. Elbląskiej (nie ma bezpośredniego dostępu do ulicy Elbląskiej). W MPZP opisano:Zabudowa mieszana produkcyjn...

  • Działka Gdańsk Jasień ul. Kartuska

    Gdańsk » ul. Kartuska

    • 1 950 000 zł cena
    • 892 m2 powierzchnia
    • 2 187 zł/m2 cena za metr
    • działka
    • na sprzedaż
    • handlowo usługowa

    IDEALNE MIEJSCE NA SIEDZIBĘ TWOJEJ FIRMY. DZIAŁKA z WARUNKAMI ZABUDOWY, POZWOLENIEM NA BUDOWĘ i GOTOWYM PROJEKTEM!ILOKALIZACJADziałka z ogromnym potencjałem, usytuowana bezpośredni...

  • Grunt pod zabudowę usługową Przywidz
    Grunt pod zabudowę usługową Przywidz

    Przywidz

    • 2 292 500 zł cena
    • 45 850 m2 powierzchnia
    • 50 zł/m2 cena za metr
    • działka
    • na sprzedaż
    • handlowo usługowa

    Grunty do sprzedaży predysponowane dla rozwoju wielofunkcyjnego, czyli zabudowa mieszkaniowo- produkcyjno-usługowa, w miejscowości Sucha Huta, Gmina Przywidz przy drodze wojewódz...

  • Działka budowlana (produkcyjno- usługowa) Ciecholewy 967m2
    Działka budowlana (produkcyjno- usługowa) Ciecholewy 967m2

    Ciecholewy

    • 80 000 zł cena
    • 967 m2 powierzchnia
    • 83 zł/m2 cena za metr
    • działka
    • na sprzedaż
    • handlowo usługowa

    Sprzedam działkę budowlaną w miejscowości Ciecholewy numer działki 96 o powierzchni 967m2. Działka w studium uwarunkowań gminy może stanowić teren produkcyjno- usługowy. Działka le...

  • Działka Gdańsk Rudniki ul. Elbląska

    Gdańsk  » Rudniki » ul. Elbląska

    • 13 500 000 zł cena
    • 5 698 m2 powierzchnia
    • 2 370 zł/m2 cena za metr
    • działka
    • na sprzedaż
    • handlowo usługowa

    TYLKO U NAS!OBIEKT BIUROWO-MAGAZYNOWY!LOKALIZACJA: Obiekt zlokalizowany jest przy trasie prowadzącej z centrum Gdańska w kierunku Elbląga oraz Warszawy (droga krajowa numer 7). Bar...

  • Działka Pelplin

    Pelplin

    • 419 590 zł cena
    • 3 003 m2 powierzchnia
    • 140 zł/m2 cena za metr
    • działka
    • na sprzedaż
    • handlowo usługowa

    RPŚ.[tel].KRPelplin, dnia 07 kwietnia 2026 r.O G Ł O S Z E N I E Na podstawie art. 30 ust. 2 pkt. 3 ustawy z dnia 8 marca 1990 r. o samorządzie gminnym (Dz. U. z 2025r. poz....

Ostatnio dodane

  • 1 / 3
    Działka Gdańsk Rębiechowo ul. Juliusza Słowackiego

    Gdańsk » ul. Słowackiego

    • 7 800 000 zł cena
    • 8 200 m2 powierzchnia
    • 952 zł/m2 cena za metr
    • działka
    • na sprzedaż
    • handlowo usługowa

    Działkę inwestycyjna w doskonałej lokalizacji. LOKALIZACJA:Bliskość Obwodnicy Trójmiejskiej, często uczęszczanej ul. Juliusza Słowackiego oraz Lotniska im. Lecha Wałęsy sprawia,...

  • Działka Gdańsk Wrzeszcz ul. Zwycięstwa

    Gdańsk  » Wrzeszcz » al. Zwycięstwa

    • 1 450 000 zł cena
    • 917 m2 powierzchnia
    • 1 582 zł/m2 cena za metr
    • działka
    • na sprzedaż
    • handlowo usługowa

    Działka w atrakcyjne lokalizacji Gdańsk-WrzeszczLOKALIZACJA:Atrakcyjnie położona działka przy głównej ulicy - trasa Gdańsk - Wrzeszcz.NIERUCHOMOŚĆ: Nieruchomość na sprzedaż to gru...

  • Działka Niestępowo ul.

    Niestępowo

    • 3 780 000 zł cena
    • 10 800 m2 powierzchnia
    • 350 zł/m2 cena za metr
    • działka
    • na sprzedaż
    • handlowo usługowa

    Działki o łącznej powierzchni ok 1,08ha (10 800m2)  utwardzony przemysłowymi grubymi płytami betonowymi.Przy działce woda i prąd. Wcześniej nieruchomość funkcjonowała jako betoniar...

  • 1 / 3
    Działka Wiślinka ul. Szkolna

    Wiślinka » ul. Szkolna

    • 12 500 000 zł cena
    • 50 000 m2 powierzchnia
    • 250 zł/m2 cena za metr
    • działka
    • na sprzedaż
    • handlowo usługowa

    Na sprzedaż działka o powierzchni prawie 5 hektarów w Wiślince.Działka objęta Planem Zagospodarowania Przestrzennego.Działka położona jest na terenie określonym jako :zespoły zabud...

  • 1 / 4
    Działka Wiślinka ul.

    Wiślinka

    • 8 316 000 zł cena
    • 92 400 m2 powierzchnia
    • 90 zł/m2 cena za metr
    • działka
    • na sprzedaż
    • handlowo usługowa

    Działki PRODUKCYJNE o łącznej powierzchni ok 92 400m2 w Wiślince.  objęte Miejscowym planem zagospodarowania PRODUKCYJNYM Dojazd do działek drogą asfaltowa.Media: Prąd przy działce...

  • Działka Gdańsk Orunia ul. Wschodnia

    Gdańsk  » Orunia-Św Wojciech-Lipce » ul. Wschodnia

    • 15 000 zł cena
    • 2 635 m2 powierzchnia
    • 6 zł/m2 cena za metr
    • działka
    • na sprzedaż
    • handlowo usługowa

    LOKALIZACJA:Nieruchomość położona w dzielnicy Gdańsk Orunia, około 4-5 km od Centrum Gdańska. Blisko obwodnicy południowej Gdańska oraz drogi krajowej 7 (około 4,5 km do najbliższe...