1 / 2

AMK Portal Sp. z o.o. Biuro nieruchomości

Wyślij wiadomośćKontakt z właścicielem
  • Działka Biskupiec, ul. Wincentego Witosa
  • Działka Biskupiec, ul. Wincentego Witosa

Działka Biskupiec, ul. Wincentego Witosa

Biskupiec ul. Witosa [woj. Warmińsko-Mazurskie, pow. nowomiejski, gm. nowomiejski]

Dodane 6 dni temu, środa, 4 marzec 2026 19:22

150 000 zł 1 332 m2
Cena:
150 000 zł
Powierzchnia:
1 332 m2
Cena za metr:
113 zł/m2
Typ działki:
Budowlane
ID oferty:
K37476062
Rynek:
Dzialki na sprzedaż Biskupiec

Opis

Wyciąg z ogłoszenia Burmistrza Biskupca (siedziba: 11-300 Biskupiec, ul. Aleja Niepodległości 2) o kolejnym przetargu ustnym nieograniczonym na zbycie niezabudowanej nieruchomości gruntowej, stanowiącej własność Gminy Biskupiec.

1.
Oznaczenie nieruchomości wg księgi wieczystej i katastru nieruchomości, powierzchnia nieruchomości.
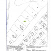
Nieruchomość położona w Biskupcu – Kolonii Trzeciej przy ul. Wincentego Witosa (obręb 1 Biskupiec Kol.), dla której prowadzona jest księga wieczysta nr OL1B/Pokaż numer telefonu, oznaczona numerem działki 393 o powierzchni 0,1332 ha.

2.
Forma zbycia.
Sprzedaż.

3.
Przeznaczenie w miejscowym planie zagospodarowania przestrzennego.
Tereny zabudowy mieszkaniowej jednorodzinnej z usługami nieuciążliwymi w wydzielonych częściach budynku lub w obiektach wolnostojących, w miejscowym planie zagospodarowania przestrzennego oznaczone symbolem przeznaczenia MNU-2 oraz tereny zieleni podmiejskiej – użytkowane rolniczo, oznaczone symbolem ZM-2.

3.
Cena wywoławcza.
150 000 zł (słownie: sto pięćdziesiąt tysięcy złotych). Cena zawiera podatek VAT w wysokości 23%.

4.
Termin i miejsce przetargów.
16 kwietnia 2026 roku, godz. 12:00, siedziba Urzędu Miejskiego w Biskupcu; adres: ul. Aleja Niepodległości 2, 11-300 Biskupiec, pokój nr 16 (I piętro, sala konferencyjna)

5.
Wysokość wadium.
30 000 zł (słownie: trzydzieści tysięcy złotych).

6.
Miejsce wywieszenia i publikacji ogłoszenia o przetargu.
Tablica ogłoszeń w siedzibie Urzędu Miejskiego w Biskupcu, strona internetowa Urzędu www.biskupiec.pl, Biuletyn Informacji Publicznej www.bip.biskupiec.pl oraz serwis www.monitorurzedowy.pl

7.
Dane teleadresowe, pod którymi
można uzyskać szczegółowe
informacje dotyczące przetargu.
Referat Gospodarki Gruntami Komunalnymi Urzędu: tel.Pokaż numer telefonu


Pełny tekst ogłoszenia o przetargu
Burmistrz Biskupca
ogłasza
kolejny przetarg ustny nieograniczony
na sprzedaż niezabudowanej nieruchomości gruntowej, stanowiącej własność Gminy Biskupiec, dla której Sąd Rejonowy w Biskupcu prowadzi księgę wieczystą nr OL1B/Pokaż numer telefonu, położonej w Biskupcu – Kolonii Trzeciej przy ulicy Wincentego Witosa, (obręb 1 Biskupiec Kol.), oznaczonej numerem działki 393 o powierzchni 0,1332 ha (oznaczenie wg użytków i klasy gruntu: RVI);

Cena wywoławcza 150 000 zł
(słownie: sto pięćdziesiąt tysięcy złotych)

Cena wywoławcza nieruchomości zawiera podatek VAT w wysokości 23%. Cena nieruchomości, uzyskana w przetargu, podlega zapłacie przed zawarciem umowy notarialnej (przenoszącej własność nieruchomości). Osoba ustalona na nabywcę nieruchomości ponosi ponadto koszty notarialne i sądowe. Ewentualne wznowienie granic nieruchomości na zlecenie i koszt nabywcy.


Zagospodarowanie nieruchomości – zgodnie z planem zagospodarowania przestrzennego. W miejscowym planie zagospodarowania przestrzennego miasta Biskupiec, zatwierdzonym Uchwałą Nr XXX/211/05 Rady Miejskiej w Biskupcu z dnia 15 czerwca 2005 roku (Dz.Urz. Woj.Warmińsko-Mazurskiego Nr 104 z dnia 11.08.2005r., poz.1404) nieruchomość położona jest w terenie oznaczonym na rysunku planu symbolem MNU-2 i przeznaczonym na tereny zabudowy mieszkaniowej jednorodzinnej z usługami nieuciążliwymi w wydzielonych częściach budynku lub w obiektach wolnostojących (87%) oraz w części (13%) na tereny zieleni podmiejskiej – użytkowane rolniczo, oznaczone symbolem ZM-2. W dniu 27.10.2025 r. Rada Miejska w Biskupcu podjęła uchwałę (Nr XXX/148/2025) w sprawie przystąpienia do sporządzenia zmian miejscowego planu zagospodarowania przestrzennego miasta Biskupiec oraz obrębu Biskupiec Kolonia, między innymi terenu, na którym znajduje się przedmiotowa nieruchomość. Przedmiotem opracowania jest ustalenie zasad zagospodarowania i zabudowy terenu zgodnie z art.15 ustawy z dnia 27 marca 2003 r. o planowaniu i zagospodarowaniu przestrzennym. Szczegółowe informacje dotyczące zapisów planu zagospodarowania przestrzennego oraz obiektów znajdujących się w gminnej ewidencji zabytków można uzyskać w Referacie Budownictwa i Spraw Lokalowych Urzędu (pok.34), pod numerami telefonów: Pokaż numer telefonu i Pokaż numer telefonu.


Sprzedaż nieruchomości następuje według danych zawartych w ewidencji gruntów i budynków oraz w aktualnym stanie zagospodarowania (nieruchomość nie ma urządzonego zjazdu z drogi gminnej - ul.Wincentego Witosa, uzyskanie stosownego zezwolenia na lokalizację zjazdu i budowa zjazdu leży w gestii nabywcy). W przypadku ewentualnego wznowienia granic, wykonanego na koszt i staraniem nabywcy, sprzedający nie bierze odpowiedzialności za ewentualnie wynikłe różnice.


Publiczne dane z zasobu geodezyjnego i kartograficznego, obejmującego powiat olsztyński (Geoportal Powiatu Olsztyńskiego), dostępne są pod adresem internetowym: [url] .


Nabywca jest zobowiązany do udostępnienia nieruchomości osobom i jednostkom zobowiązanym do wykonania czynności związanych z eksploatacją sieci nadziemnych i podziemnych oraz urządzeń występujących na gruncie. W przypadku, gdy przebiegające sieci nadziemne i podziemne lub urządzenia występujące na terenie nieruchomości (ujawnione i nie ujawnione na mapie), kolidują z realizacją zamierzonej inwestycji, nabywca będzie zobowiązany do ich przełożenia własnym kosztem i staraniem, w uzgodnieniu z jednostkami branżowymi i właścicielem sieci. Ponadto, nabywca przejmuje obowiązek usunięcia z nieruchomości ewentualnych użytkowników bezumownych.


Dla przedmiotowego terenu nie przeprowadzono badań geotechnicznych podłoża gruntowego. Sprzedający nie ponosi odpowiedzialności za złożone warunki geotechniczne gruntu.


W księdze wieczystej nr OL1B/Pokaż numer telefonu, prowadzonej między innymi dla ww. działki, są wpisane służebności przesyłu (które nie są na niej wykonywane) na rzecz: Polskiej Spółki Gazownictwa Sp. z o.o. z siedzibą w Tarnowie (przedmiot wykonywania: dz. nr 388) i Energa-Operator S.A. z siedzibą w Gdańsku (przedmiot wykonywania, działki nr: 476 i 472). Nieruchomość nie jest przedmiotem innych obciążeń i zobowiązań na rzecz osób trzecich.


Przetarg odbędzie się w dniu 16 kwietnia 2026 roku o godz. 12:00 w Urzędzie Miejskim w Biskupcu przy ul. Aleja Niepodległości 2 (sala konferencyjna, I piętro, pok.16).


W przetargu mogą brać udział osoby, które w terminie do dnia 10 kwietnia 2026 roku, wpłacą na rachunek bankowy Urzędu Miejskiego w Biskupcu Nr Pokaż numer telefonuPokaż numer telefonu 0260 8230 PKO Bank Polski S.A. wymagane wadium (w pieniądzu) w wysokości 30 000 zł (słownie: trzydzieści tysięcy złotych). Wadium powinno być wniesione z takim wyprzedzeniem, aby środki pieniężne znalazły się na rachunku bankowym Urzędu Miejskiego w Biskupcu najpóźniej w dniu 10 kwietnia 2026 roku – pod rygorem uznania, że warunek wpłaty wadium nie został spełniony.


Uczestnicy przetargu są zobowiązani przedstawić, na żądanie komisji przetargowej:
- aktualny dokument potwierdzający tożsamość,
- aktualny odpis z właściwego rejestru, jeżeli uczestnikiem jest osoba prawna,
- oryginał potwierdzenia wniesienia wadium.


Pełnomocnicy uczestników przetargu winni okazać komisji przetargowej stosowne pełnomocnictwo, z podpisem mocodawcy poświadczonym notarialnie.


O wysokości postąpienia decydują uczestnicy przetargu, z tym, że postąpienie nie może wynosić mniej niż 1% ceny wywoławczej z zaokrągleniem w górę do pełnych dziesiątek złotych. Jeżeli żaden z uczestników przetargu nie zaoferuje postąpienia ponad cenę wywoławczą, wówczas przetarg zakończy się wynikiem negatywnym.


Uczestnikowi przetargu, który przetarg wygra, wpłacone wadium zostanie zaliczone na poczet ceny nabycia nieruchomości. Uczestnikom przetargu, którzy go nie wygrają, wadium zostanie zwrócone niezwłocznie po zamknięciu lub odwołaniu przetargu, jednak nie później niż przed upływem 3 dni od dnia, odpowiednio: odwołania przetargu, zamknięcia przetargu, unieważnienia lub zakończenia przetargu wynikiem negatywnym.


Nabywca nieruchomości zostanie zawiadomiony o terminie i miejscu zawarcia umowy sprzedaży w ciągu 21 dni od dnia rozstrzygnięcia przetargu. Jeżeli osoba ustalona jako nabywca nieruchomości nie przystąpi bez usprawiedliwienia do zawarcia umowy w miejscu i terminie podanym w zawiadomieniu, organizator przetargu może odstąpić od zawarcia umowy, a wpłacone wadium nie podlega zwrotowi.


Zastrzega się prawo odwołania przetargu z uzasadnionej przyczyny.


Przetarg przeprowadzony zostanie w oparciu o przepisy rozporządzenia Rady Ministrów z dnia 14 września 2004r. w sprawie sposobu i trybu przeprowadzania przetargów oraz rokowań na zbycie nieruchomości (j.t. Dz.U. z 2021 r., poz. 2213). Terminy przeprowadzenia poprzednich przetargów: 23.01.2025 r., 20.05.2025 r., 09.09.2025 r. i 04.12.2025 r. Dodatkowe informacje sprawie procedury przetargowej można uzyskać w Referacie Gospodarki Gruntami Komunalnymi Urzędu (pok.32, tel. Pokaż numer telefonu).




Kontakt:
Urząd Miasta Biskupiec
tel: Pokaż numer telefonu
[email] />

Oferta wysłana z programu dla biur nieruchomości ASARI CRM (asaricrm.com)
  • Data aktualizacji: 2026-03-04
  • ID ogłoszenia: K37476062
Wydrukuj Zgłoś naruszenie
Chcesz mieć na oku podobne nieruchomości?
Włącz powiadomienia i nie przegap okazji!
*Działki na sprzedaż Biskupiec, cena: od 127 500 do 172 500 zł, powierzchnia: od 1133 do 1532 m2

Kontakt

AMK Portal Sp. z o.o. Biuro nieruchomości

Wyślij wiadomośćKontakt z właścicielem
Wydrukuj Zgłoś naruszenie

Podobne ogłoszenia

  • Sprzedam działkę z WZ przy jeziorze o pow 2977 m2
    1 / 16
    Sprzedam działkę z WZ przy jeziorze o pow 2977 m2

    Biskupiec

    • 135 000 zł cena
    • 2 977 m2 powierzchnia
    • 46 zł/m2 cena za metr
    • działka
    • na sprzedaż
    • budowlana

    Działka nr 32/1, pow. 2977 m2 oddalona 40 km od Olsztyna, 5 km od Biskupca, bezpośrednio przy drodze wojewódzkiej nr 596 , między dwoma jeziorami. Działka z bezterminowymi warunka...

  • Działka budowlana, Biskupiec
    1 / 2
    Działka budowlana, Biskupiec

    Biskupiec

    • 180 000 zł cena
    • 1 539 m2 powierzchnia
    • 117 zł/m2 cena za metr
    • działka
    • na sprzedaż
    • budowlana

    Działka inwestycyjna, mieszkalno-usługowa, w Biskupcu, ok. 100 m. od ul. Wojska Polskiego (przy wyjeździe w kier. Rzecka), z prądem i wodą, prostokątna, nie ogrodzona. Dobra okazja...

  • Działka budowlana Ornowo gm. Ostróda
    1 / 7
    Działka budowlana Ornowo gm. Ostróda

    Ornowo

    • 220 000 zł cena
    • 1 374 m2 powierzchnia
    • 161 zł/m2 cena za metr
    • działka
    • na sprzedaż
    • budowlana

    Działka budowlana nad jeziorem Morliny - marzenie dla wędkarzy i miłośników natury Na sprzedaż atrakcyjna działka budowlana o powierzchni 1374 m², położona w malowniczej...

  • 1 / 2
    Działka Biskupiec, ul. Skauta

    Biskupiec » park Baden-Powella Naczelnego Skauta Świata

    • 180 000 zł cena
    • 1 863 m2 powierzchnia
    • 97 zł/m2 cena za metr
    • działka
    • na sprzedaż
    • budowlana

    Wyciąg z ogłoszenia Burmistrza Biskupca (siedziba: 11-300 Biskupiec, ul. Aleja Niepodległości 2) o kolejnym przetargu ustnym nieograniczonym na zbycie niezabudowanej nieruchomości...

  • 1 / 2
    Działka Biskupiec, ul. Bolesława Chrobrego

    Biskupiec » ul. Bolesława Chrobrego

    • 380 000 zł cena
    • 8 980 m2 powierzchnia
    • 43 zł/m2 cena za metr
    • działka
    • na sprzedaż
    • budowlana

    Wyciąg z ogłoszenia Burmistrza Biskupca (siedziba: 11-300 Biskupiec, ul. Aleja Niepodległości 2) o kolejnym ustnym nieograniczonym na zbycie niezabudowanej nieruchomości gruntowej...

  • 1 / 2
    Działka Biskupiec, ul. Skauta

    Biskupiec » park Baden-Powella Naczelnego Skauta Świata

    • 180 000 zł cena
    • 1 413 m2 powierzchnia
    • 128 zł/m2 cena za metr
    • działka
    • na sprzedaż
    • budowlana

    Wyciąg z ogłoszenia Burmistrza Biskupca (siedziba: 11-300 Biskupiec, ul. Aleja Niepodległości 2) o kolejnych przetargach ustnych nieograniczonych na zbycie niezabudowanych nierucho...

Ostatnio dodane

  • Działka budowlana w Węgrowie

    Grudziądz

    • 115 000 zł cena
    • 957 m2 powierzchnia
    • 121 zł/m2 cena za metr
    • działka
    • na sprzedaż
    • budowlana

    Prezentujemy Państwu ofertę sprzedaży działki o powierzchni 9572 , która położona jest w bardzo dobrej lokalizacji Węgrowa, zaledwie 1,2 km od Ronda Doktora Rydygiera i 5 km od cen...

  • 1 / 3
    Działka pod lasem

    Piaski

    • 138 195 zł cena
    • 3 071 m2 powierzchnia
    • 45 zł/m2 cena za metr
    • działka
    • na sprzedaż
    • budowlana

    Prezentujemy Państwu na sprzedaż działkę o powierzchni 30712 , która położona jest w naprawdę przepięknej i spokojnej okolicy, zalewie 7,5 km od Ronda Skalskiego ( os. Lotnisko ) i...

  • 1 / 2
    Działka budowlana 7 km od Centrum Miasta

    Grudziądz

    • 78 260 zł cena
    • 1 118 m2 powierzchnia
    • 70 zł/m2 cena za metr
    • działka
    • na sprzedaż
    • budowlana

    Biuro Invest Nieruchomości ma przyjemność zaprezentowania Państwu sprzedaż działki zlokalizowanej 7 km od Centrum Miasta -w Węgrowie. Informacje: - działka o metrażu 1118 m2 -...

  • 1 / 4
    Działka w Dragaczu

    Grudziądz

    • 60 000 zł cena
    • 1 200 m2 powierzchnia
    • 50 zł/m2 cena za metr
    • działka
    • na sprzedaż
    • budowlana

    Nasze biuro ma przyjemność zaprezentować Państwu ofertę sprzedaży działki, której powierzchnia wynosi 1200 m2 . Działka zlokalizowana jest w spokojnej miejscowości Dragacz k/Grudz...

  • Okazja-dzialki budowlane.
    1 / 8
    Okazja-dzialki budowlane.

    Bratian

    • 66 000 zł cena
    • 1 200 m2 powierzchnia
    • 55 zł/m2 cena za metr
    • działka
    • na sprzedaż
    • budowlana

    Dzialki na warunkach zabudowy przy ul Dlugiej w Bratianie.Dzialki sa oddalone od ulicy ok 100m,wielkosc od 1185m2 do 1226m2.Cena 55zl za m2.Mozliwosc konfiguracji wielkosci.Dodatko...

  • Ładna działka w RYJEWIE _ blisko Kwidzyn _ wszystkie MEDIA !
    1 / 7
    Ładna działka w RYJEWIE _ blisko Kwidzyn _ wszystkie MEDIA !

    Ryjewo

    • 99 000 zł cena
    • 1 046 m2 powierzchnia
    • 95 zł/m2 cena za metr
    • działka
    • na sprzedaż
    • budowlana

    Sprzedam bardzo ładną działkę budowlaną 1046 m (na mapie działka nr.3) w gminnej miejscowości Ryjewo. Działka prosta, płaska, sucha, słoneczna w kształcie prostokąta, w okolicy duż...