Działka Białogard, ul. Witkacego Białogard

AMK Portal Sp. z o.o. Biuro nieruchomości

Wyślij wiadomośćKontakt z właścicielem

Działka Białogard, ul. Witkacego

Białogard ul. Witkacego [woj. Zachodniopomorskie, pow. białogardzki, gm. białogardzki]

Dodane 1 tydzień temu, Piątek, 23 styczeń 2026 19:20

104 206 zł 1 059 m2
Cena:
104 206 zł
Powierzchnia:
1 059 m2
Cena za metr:
99 zł/m2
Typ działki:
Budowlane
ID oferty:
K37435907
Rynek:
Dzialki na sprzedaż Białogard

Opis

BURMISTRZ BIAŁOGARDU

podaje do publicznej wiadomości wyciąg z ogłoszenia
o I przetargu ustnym nieograniczony na zbycie nieruchomości

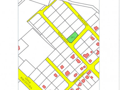
Nieruchomość stanowiąca niezabudowaną działkę gruntu w obrębie 0020 miasta Białogard, położona w Białogardzie przy ulicy Witkacego, wpisana w księdze wieczystej nr KO1B/Pokaż numer telefonu:

Lp. 1.

Nr działki
28/2

Powierzchnia w m2
1059

Cena wywoławcza
104 205,60 zł

Termin i miejsce przetargu
24.02.2026 r. godz. 8.00
UM w Białogardzie, pokój 106

Wysokość wadium
16 000,00 zł


Ogłoszenie o przetargu wywieszono w siedzibie Urzędu Miasta przy ulicy 1 Maja 18 oraz na stronie internetowej Urzędu www.bialogard.info i w Biuletynie Informacji Publicznej Miasta Białogard www.bip.bialogard.info w zakładce „Nieruchomości do zbycia”.

Szczegółowe informacje można uzyskać w Wydziale Gospodarki Nieruchomościami Urzędu Miasta Białogard, pokój nr 117, tel. Pokaż numer telefonu, e-mail: [email] />


Kontakt:
Urząd Miasta Białogard
tel: Pokaż numer telefonu
[email] />

Oferta wysłana z programu dla biur nieruchomości ASARI CRM (asaricrm.com)
  • Data aktualizacji: 2026-01-23
  • ID ogłoszenia: K37435907
Wydrukuj Zgłoś naruszenie
Chcesz mieć na oku podobne nieruchomości?
Włącz powiadomienia i nie przegap okazji!
*Działki na sprzedaż Białogard, cena: od 88 576 do 119 837 zł, powierzchnia: od 901 do 1218 m2

Kontakt

AMK Portal Sp. z o.o. Biuro nieruchomości

Wyślij wiadomośćKontakt z właścicielem
Wydrukuj Zgłoś naruszenie

Podobne ogłoszenia

  • Działka budowlana Grzybowo gm. Kołobrzeg, Bursztynowa
    1 / 11
    Działka budowlana Grzybowo gm. Kołobrzeg, Bursztynowa

    Grzybowo

    • 459 000 zł cena
    • 1 028 m2 powierzchnia
    • 447 zł/m2 cena za metr
    • działka
    • na sprzedaż
    • budowlana

    Grzybowo to miejscowość letniskowa położona nad morzem bałtyckim o charakterze turystyczno- wypoczynkowym, doskonale skomunikowana z Kołobrzegiem. Na sprzedaż działka budowlana, n...

  • Działka Białogard, ul. Witkacego

    Białogard » ul. Witkacego

    • 118 992 zł cena
    • 1 421 m2 powierzchnia
    • 84 zł/m2 cena za metr
    • działka
    • na sprzedaż
    • budowlana

    BURMISTRZ BIAŁOGARDU podaje do publicznej wiadomości wyciąg z ogłoszenia o I przetargu ustnym nieograniczony na zbycie nieruchomości Nieruchomość stanowiąca niezabudowane i nie...

  • Działka Białogard, ul. Zielona

    Białogard » ul. Zielona

    • 125 456 zł cena
    • 1 885 m2 powierzchnia
    • 67 zł/m2 cena za metr
    • działka
    • na sprzedaż
    • budowlana

    BURMISTRZ BIAŁOGARDU podaje do publicznej wiadomości wyciąg z ogłoszenia o II przetargu na zbycie nieruchomości 1) Przetarg odbędzie się w dniu 27.02.2026 r. o godz. 9:00 w Ur...

  • Działka Białogard, ul. Witkacego

    Białogard » ul. Witkacego

    • 124 378 zł cena
    • 1 264 m2 powierzchnia
    • 99 zł/m2 cena za metr
    • działka
    • na sprzedaż
    • budowlana

    BURMISTRZ BIAŁOGARDU podaje do publicznej wiadomości wyciąg z ogłoszenia o I przetargu ustnym nieograniczony na zbycie nieruchomości Nieruchomość stanowiąca niezabudowaną działk...

  • Działka Białogard, ul. Witkacego

    Białogard » ul. Witkacego

    • 118 966 zł cena
    • 1 209 m2 powierzchnia
    • 99 zł/m2 cena za metr
    • działka
    • na sprzedaż
    • budowlana

    BURMISTRZ BIAŁOGARDU podaje do publicznej wiadomości wyciąg z ogłoszenia o I przetargu ustnym nieograniczony na zbycie nieruchomości Nieruchomość stanowiąca niezabudowaną działk...

  • Działka Białogard, ul. Słowackiego

    Białogard » ul. Słowackiego

    • 11 758 zł cena
    • 86 m2 powierzchnia
    • 137 zł/m2 cena za metr
    • działka
    • na sprzedaż
    • budowlana

    BURMISTRZ BIAŁOGARDU podaje do publicznej wiadomości wyciąg z ogłoszenia o I przetargu ustnym ograniczonym na zbycie nieruchomości Nieruchomość stanowiąca niezabudowaną działk...

Ostatnio dodane

  • Działka budowlana gm. Bobolice

    Drzewiany

    • 42 000 zł cena
    • 1 269 m2 powierzchnia
    • 34 zł/m2 cena za metr
    • działka
    • na sprzedaż
    • budowlana

    Agnieszka Boruń-Spaleniak
    Agent nieruchomości

  • Działka z projektem oraz pozwoleniem na budowę

    Koszalin

    • 1 950 000 zł cena
    • 2 147 m2 powierzchnia
    • 909 zł/m2 cena za metr
    • działka
    • na sprzedaż
    • budowlana

    Agnieszka Boruń-Spaleniak
    Agent nieruchomości

  • Działka budowlana Świeszyno
    1 / 11
    Działka budowlana Świeszyno

    Świeszyno

    • 140 284 zł cena
    • 2 063 m2 powierzchnia
    • 68 zł/m2 cena za metr
    • działka
    • na sprzedaż
    • budowlana

    JEŻELI: - marzysz o własnej działce w malowniczej okolicy, a zarazem blisko miasta - zastanawiasz się jak ochronić oszczędności przed inflacją - chcesz zainwestować w nieruchomośc...

  • Działka budowlana Świeszyno
    1 / 12
    Działka budowlana Świeszyno

    Świeszyno

    • 73 780 zł cena
    • 1 085 m2 powierzchnia
    • 68 zł/m2 cena za metr
    • działka
    • na sprzedaż
    • budowlana

    JEŻELI: - marzysz o własnej działce w malowniczej okolicy, a zarazem blisko miasta - zastanawiasz się jak ochronić oszczędności przed inflacją - chcesz zainwestować w nieruchomośc...

  • Działka budowlana Świeszyno
    1 / 9
    Działka budowlana Świeszyno

    Świeszyno

    • 68 068 zł cena
    • 1 001 m2 powierzchnia
    • 68 zł/m2 cena za metr
    • działka
    • na sprzedaż
    • budowlana

    JEŻELI: - marzysz o własnej działce w malowniczej okolicy, a zarazem blisko miasta - zastanawiasz się jak ochronić oszczędności przed inflacją - chcesz zainwestować w nieruchomośc...

  • Sprzedam działkę

    Kładno

    • 180 000 zł cena
    • 1 000 m2 powierzchnia
    • 180 zł/m2 cena za metr
    • działka
    • na sprzedaż
    • budowlana

    Sprzedam działkę o powierzchni 1000 m.kw.w miejscowości Kładno.Woda i prąd w pobliżu działki,gaz około 150 metrów.Warunki zabudowy w trakcie wydawania na dom jednorodzinny lub bliź...