1 / 3

Kurpie Nieruchomości Biuro nieruchomości

Wyślij wiadomośćKontakt z właścicielem
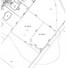
  • Działka Rzekuń
  • Działka Rzekuń
  • Działka Rzekuń

Działka Rzekuń

Rzekuń [woj. Mazowieckie, pow. ostrołęcki, gm. ostrołęcki]

Dodane 11 miesięcy temu, Piątek, 11 kwiecień 2025 19:20

287 350 zł 1 642 m2
Cena:
287 350 zł
Powierzchnia:
1 642 m2
Cena za metr:
175 zł/m2
Typ działki:
Budowlane
ID oferty:
K37090706
Rynek:
Dzialki na sprzedaż Rzekuń

Opis

Na sprzedaż atrakcyjna działka budowlana o powierzchni 1642 m położona w miejscowości Rzekuń, tuż obok Ostrołęki. Działka w kształcie prostokąta o wymiarach 45 m x 32,8 m z wygodnym dojazdem drogą gruntową oraz wydzielonym zjazdem o szerokości 6 m.

Lokalizacja:
Działka znajduje się w spokojnej, rozwijającej się okolicy w bezpośrednim sąsiedztwie nowej zabudowy jednorodzinnej. W odległości zaledwie kilkuset metrów znajduje się szkoła podstawowa, co czyni to miejsce idealnym dla rodzin z dziećmi.

Media:
Woda w drodze
Prąd w drodze
(dogodna możliwość podłączenia)

O gminie:
Gmina Rzekuń to dynamicznie rozwijający się region, inwestujący w infrastrukturę, edukację i bezpieczeństwo. Bogata oferta usług publicznych, liczne tereny zielone oraz bliskość miasta Ostrołęka czynią tę lokalizację wyjątkowo atrakcyjną dla osób szukających balansu między spokojem a dostępem do miejskich udogodnień.

Cena:
175 zł/m
Łącznie: ~287 350 zł

Paweł Cenzer
Pokaż numer telefonu
[email] />
UWAGA NOWY ADRES
Kurpie Nieruchomości Rok zał. 2014
gen. Augusta Emila Fieldorfa Nila 5a/A8, 07-410 Ostrołęka


* UWAGA! Zamieszczone na naszych stronach oferty nie stanowią oferty w rozumieniu Kodeksu Cywilnego, a dane w nich zawarte mają jedynie charakter informacyjny.

Oferta wysłana z programu IMO dla biur nieruchomości

Numer oferty: 77
  • Data aktualizacji: 2025-04-11
  • ID ogłoszenia: K37090706
Wydrukuj Zgłoś naruszenie
Chcesz mieć na oku podobne nieruchomości?
Włącz powiadomienia i nie przegap okazji!
*Działki na sprzedaż Rzekuń, cena: od 244 248 do 330 453 zł, powierzchnia: od 1396 do 1889 m2

Kontakt

Kurpie Nieruchomości Biuro nieruchomości

Wyślij wiadomośćKontakt z właścicielem
Wydrukuj Zgłoś naruszenie

Podobne ogłoszenia

  • Działka Ostrołęka

    Ostrołęka

    • 185 000 zł cena
    • 2 668 m2 powierzchnia
    • 70 zł/m2 cena za metr
    • działka
    • na sprzedaż
    • budowlana

    Na sprzedaż działka o pow. 2780 m2 zlokalizowana w Ostrołęka-Rzekuń Działka o wymiarach 20x140 m dojazd uregulowany od ul. Kruczej woda, gaz, kanalizacja w ul. Kruczej...

  • Działka Rzekuń

    Rzekuń

    • 199 000 zł cena
    • 914 m2 powierzchnia
    • 218 zł/m2 cena za metr
    • działka
    • na sprzedaż
    • budowlana

    Oferujemy na sprzedaż działkę budowlaną o powierzchni 914 m, położoną w spokojnej i dynamicznie rozwijającej się gminie Rzekuń, przy ul. Platynowej. Najważniejsze atuty: Ogr...

  • Działka z domem
    Działka z domem

    Troszyn

    • 299 zł cena
    • 10 m2 powierzchnia
    • 30 zł/m2 cena za metr
    • działka
    • na sprzedaż
    • budowlana

    Sprzedam działkę budowlaną z domem z czerwonej cegły z lat 50tych i pomieszczenia gospodarcze (obórka) w Troszynie. Dom jest niezamieszkały od ponad 40 lat, do remontu. Położony pr...

  • Działka 1,54 ha pod osiedle premium - 30+ domów bliźniaków/s
    1 / 3
    Działka 1,54 ha pod osiedle premium - 30+ domów bliźniaków/s

    Borawe

    • 5 000 000 zł cena
    • 15 379 m2 powierzchnia
    • 326 zł/m2 cena za metr
    • działka
    • na sprzedaż
    • budowlana

    Grunt inwestycyjny pod kameralne osiedle domów jednorodzinnych – 1,54 ha, Borawe k. Ostrołęki. Sprzedam unikalną działkę inwestycyjną o powierzchni 15 379 m² (1,54 ha), położoną w...

  • 1 / 2
    Działka Ostrołęka

    Ostrołęka

    • 230 000 zł cena
    • 1 030 m2 powierzchnia
    • 224 zł/m2 cena za metr
    • działka
    • na sprzedaż
    • budowlana

    Do sprzedaży działka budowlana w Ostrołęce przy ulicy Wiejskiej. Nr działki na Geoportal (Ostrołęka nr. 60670/5) Numer działki wynika z podziału na podstawie decyzji z 2016 roku....

  • Działka budowlana na Starym Mieście w Ostrołęce (woj. Mazow)
    1 / 4
    Działka budowlana na Starym Mieście w Ostrołęce (woj. Mazow)

    Ostrołęka

    • 450 000 zł cena
    • 281 m2 powierzchnia
    • 1 602 zł/m2 cena za metr
    • działka
    • na sprzedaż
    • budowlana

    Zapraszam do zakupu działki budowlanej o powierzchni 281 m2 położonej w prestiżowej lokalizacji na Starym Mieście w Ostrołęce (woj. Mazowieckie). Działka posiada uchwalony MPZP i...

Ostatnio dodane

  • 1 / 2
    Sprzedam działkę

    Myszyniec Stary

    • 170 000 zł cena
    • 3 599 m2 powierzchnia
    • 48 zł/m2 cena za metr
    • działka
    • na sprzedaż
    • budowlana

    Sprzedam działkę w Starym Myszyńcu w dogodnej lokalizacji przy drodze krajowej świetną pod inwestycję lub na siedlisko. Chętnie odpowiem na ewentualne pytania.

  • Działka Ostrołęka

    Ostrołęka

    • 110 000 zł cena
    • 735 m2 powierzchnia
    • 150 zł/m2 cena za metr
    • działka
    • na sprzedaż
    • budowlana

    Na sprzedaż działka budowlana zlokalizowana w Ostrołęce przy ul. Odległej. Działka (nr 60795/30) o pow. 735m2, prostokąt o wymiarach 24m x 30m. Media: W ul. Odległej p...

  • Działki budowlane w malowniczej okolicy
    1 / 10
    Działki budowlane w malowniczej okolicy

    Korczaki

    • 159 900 zł cena
    • 1 039 m2 powierzchnia
    • 154 zł/m2 cena za metr
    • działka
    • na sprzedaż
    • budowlana

    Na sprzedaż: Działki budowlane w Korczakach – gm. Rzekuń, pow. ostrołęcki Oferujemy działki budowlane położone w malowniczej miejscowości Korczaki (gmina Rzekuń, powiat ostrołęcki...

  • DZIAŁKA BUDOWLANA W NOWEJ WSI WSCHODNIEJ
    1 / 5
    DZIAŁKA BUDOWLANA W NOWEJ WSI WSCHODNIEJ

    Nowa Wieś Wschodnia

    • 156 000 zł cena
    • 1 200 m2 powierzchnia
    • 130 zł/m2 cena za metr
    • działka
    • na sprzedaż
    • budowlana

    Sprzedam działkę położoną w Nowej Wsi Wschodniej, w gminie Rzekuń o pow. 1200m2 , Nr.338/4. Przeznaczenie terenu: zabudowa mieszkaniowa jednorodzinna, zagrodowa i letniskowa. Dodat...

  • Działka Białobiel

    Białobiel

    • 169 000 zł cena
    • 1 059 m2 powierzchnia
    • 160 zł/m2 cena za metr
    • działka
    • na sprzedaż
    • budowlana

    Na sprzedaż narożna działka budowlana o powierzchni 1 059 m , położona u zbiegu ulic Łąkowej i Tęczowej w miejscowości Białobiel , gmina Lelis. Działka o wymiarach 30 36 m , znaj...

  • Działka budowlana Ostrołęka trasa DK61 Mazury Kurpie
    1 / 16
    Działka budowlana Ostrołęka trasa DK61 Mazury Kurpie

    Olszewo-Borki

    • 1 500 000 zł cena
    • 2 417 m2 powierzchnia
    • 621 zł/m2 cena za metr
    • działka
    • na sprzedaż
    • budowlana

    Do sprzedaży zabudowana, ogrodzona działka budowlana o powierzchni 0,2417 ha (24,17 ar). Lokalizacja: Olszewo-Borki koło Ostrołęki Serce Kurpiowszczyzny Przy trasie prowadzącej...