1 / 4

EASTATE PROSTA Spółka akcyjna Biuro nieruchomości

Wyślij wiadomośćKontakt z właścicielem
  • Działka Krubin ul.
  • Działka Krubin ul.
  • Działka Krubin ul.
  • Działka Krubin ul.

Działka Krubin ul.

Krubin [woj. Mazowieckie, pow. legionowski, gm. legionowski]

Dodane 8 miesięcy temu, Piątek, 30 maj 2025 16:30

274 780 zł 1 249 m2
Cena:
274 780 zł
Powierzchnia:
1 249 m2
Cena za metr:
220 zł/m2
Typ działki:
Budowlane
ID oferty:
K37160644
Rynek:
Dzialki na sprzedaż Krubin

Opis

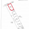
Na sprzedaż działka budowlana o powierzchni 1 249 m2 z miejscowym planem zagospodarowania przestrzennego w miejscowości Krubin, w gminie Wieliszew (powiat legionowski).

Numer ewidencyjny: 756/1
Działka znajduje się na terenie oznaczonym MN- teren zabudowy mieszkaniowej jednorodzinnej.
Maksymalna wysokość zabudowy: Do 2 kondygnacji nadziemnych, w tym poddasze użytkowe.
Działka płaska, narożna, z dostępem do drogi gminnej, na ten moment droga gruntowa, utwardzona. W projekcie o szerokości 15 m.

Media:
Działka nie jest uzbrojona.
Możliwość bezproblemowego przyłącza do sieci energetycznej oraz gazowej. Własne ujęcie wody.
Obecnie brak kanalizacji.

Lokalizacja:
Krubin to miejscowość o charakterze wiejskim, otoczona lasami i terenami zielonymi. W okolicy dostępne są trasy rowerowe, piesze oraz miejsca do wypoczynku. Idealne rozwiązanie dla osób szukających spokoju i bliskości natury, z szybkim dostępem do miasta.

Komunikacja:
W gminie Wieliszew istnieje bezpłatna komunikacja autobusowa (linie W1,W2,W3)
W odległości 4,5 km (5 minut samochodem) znajduje się stacja PKP Janówek, która posiada bezpośrednie połączenie z Warszawą.
Czas przejazdu około 45 minut.
W pobliżu jest też stacja Legionowo, Wieliszew i Nowy Dwór Mazowiecki.

Odległości:
6 km- Skrzeszew (Szkoła Podstawowa)
10 km- Nowy Dwór Mazowiecki;
11 km- Wieliszew;
14 km- Legionowo;
17 km- Jezioro Zegrzyńskie;
40 km- Warszawa.

Zapraszamy na prezentację po wcześniejszym kontakcie telefonicznym.

W swojej ofercie posiadamy również dodatkowe usługi takie jak: projektowanie i remonty wnętrz wraz z ich nadzorem, usługę zarządzania najmem oraz doradztwo kredytowe. Zapraszamy do kontaktu, chętnie udzielimy więcej informacji!

Numer oferty: 317076
  • Data aktualizacji: 2025-05-30
  • ID ogłoszenia: K37160644
Wydrukuj Zgłoś naruszenie
Chcesz mieć na oku podobne nieruchomości?
Włącz powiadomienia i nie przegap okazji!
*Działki na sprzedaż Krubin, cena: od 233 563 do 315 997 zł, powierzchnia: od 1062 do 1437 m2

Kontakt

EASTATE PROSTA Spółka akcyjna Biuro nieruchomości

Wyślij wiadomośćKontakt z właścicielem
Wydrukuj Zgłoś naruszenie

Podobne ogłoszenia

  • Działka Modlin

    Nowy Modlin

    • 2 550 000 zł cena
    • 10 200 m2 powierzchnia
    • 250 zł/m2 cena za metr
    • działka
    • na sprzedaż
    • budowlana

    MODLIN LOTNISKO GRUNT INWESTYCYJNY. Działka budowlana o powierzchni 10 000m2 i wymiarach dł.170xszer.60m, zlokalizowana w sąsiedztwie lotniska Modlin. Działka objęta jest PZP dopus...

  • Dwie sąsiadujące działki niedaleko Legionowa
    1 / 15
    Dwie sąsiadujące działki niedaleko Legionowa

    Olszewnica Stara

    • 517 440 zł cena
    • 1 568 m2 powierzchnia
    • 330 zł/m2 cena za metr
    • działka
    • na sprzedaż
    • budowlana

    Na sprzedaż dwie sąsiadujące działki położone w miejscowości Olszewnica Stara, gmina Wieliszew, powiat legionowski. Działki sprzedawane są łącznie, stanowiąc jeden funkcjonalny ter...

  • Działka budowlana 1290 m2 Czosnów.
    Działka budowlana 1290 m2 Czosnów.

    Czosnów

    • 384 420 zł cena
    • 1 290 m2 powierzchnia
    • 298 zł/m2 cena za metr
    • działka
    • na sprzedaż
    • budowlana

    Działki budowlane z MPZP – Cząstków Mazowiecki/ Kaliszki - idealne pod zabudowę jednorodzinną. Na sprzedaż oferuję działki budowlane o powierzchni od 1290 m2 do 1800 m2, położone...

  • Działka budowlana Cząstków Mazowiecki gm. Czosnów,
    1 / 6
    Działka budowlana Cząstków Mazowiecki gm. Czosnów,

    Cząstków Mazowiecki

    • 395 446 zł cena
    • 1 327 m2 powierzchnia
    • 298 zł/m2 cena za metr
    • działka
    • na sprzedaż
    • budowlana

    Mam przyjemność zaoferować Państwu trzy działki budowlane w gminie Czosnów: działka budowlana E o powierzchni ok. 1327 m² działka budowlana D o powierzchni ok. 1355 m² działk...

  • Działka budowlana Modlin gm. Nowy Dwór Mazowiecki
    Działka budowlana Modlin gm. Nowy Dwór Mazowiecki

    Nowy Dwór Mazowiecki

    • 2 550 000 zł cena
    • 10 200 m2 powierzchnia
    • 250 zł/m2 cena za metr
    • działka
    • na sprzedaż
    • budowlana

    MODLIN LOTNISKO GRUNT INWESTYCYJNY. Działka budowlana o powierzchni 10 000m2 i wymiarach dł.170xszer.60m, zlokalizowana w sąsiedztwie lotniska Modlin. Działka objęta jest PZP dopus...

  • Działka Nowy dwór mazowiecki, ul. Piekarska

    Nowy Dwór Mazowiecki » ul. Piekarska

    • 310 000 zł cena
    • 765 m2 powierzchnia
    • 406 zł/m2 cena za metr
    • działka
    • na sprzedaż
    • budowlana

    Burmistrz Miasta Nowy Dwór Mazowiecki Nowy Dwór Mazowiecki, dnia 19.01.2026 r. Wyciąg z ogłoszenia o przetargu ustnym nieograniczonym na sprzedaż prawa własności nieruchomoś...

Ostatnio dodane

  • 1 / 4
    Działka na sprzedaż

    Palmiry

    • 812 000 zł cena
    • 2 800 m2 powierzchnia
    • 290 zł/m2 cena za metr
    • działka
    • na sprzedaż
    • budowlana

    Do sprzedania działka w miejscowości Palmiry. Bardzo cicha okolica. Na działce znajdują się zabudowania do rozbiórki lub do remontu. Na posesji znajduje się studnia, obórka, drewni...

  • 1 / 4
    Działka budowlana Warszawa Dębe 103/23+103/28, 3255mk2

    Dębe

    • 350 000 zł cena
    • 3 255 m2 powierzchnia
    • 108 zł/m2 cena za metr
    • działka
    • na sprzedaż
    • budowlana

    Bardzo blisko rzeki Narew. Możliwość podziału działki (cena w podziale 180zł/mkw, bez 108zł/mkw). Możliwość likwidacji słupa 15kW. Mega sąsiedzi. Okolica sadownicza. Możliwość...

  • Działka Czarnowo

    Czarnowo

    • 230 000 zł cena
    • 10 637 m2 powierzchnia
    • 22 zł/m2 cena za metr
    • działka
    • na sprzedaż
    • budowlana

    Nieruchomość gruntowa niezabudowana zlokalizowana w miejscowości Czarnowo, gm. Kozielice, pow. pyrzycki o powierzchni 1.0637 ha(RIIIb-2120 M2,RIVa-2198m2,RV-3511 m2, PsIII-1983 m2,...

  • Atrakcyjna działka budowlana obok lasu I Chotomówi

    Chotomów

    • 580 000 zł cena
    • 1 450 m2 powierzchnia
    • 400 zł/m2 cena za metr
    • działka
    • na sprzedaż
    • budowlana

    Chcesz zainwestować w nieruchomość w dobrej lokalizacji? Szukasz działki pod budowę obejmującą kilka lokali? Oto oferta dla Ciebie - świetnie zlokalizowana działka w Chotomowie...

  • Działka budowlana o pow. 20723m2,Cząstków Mazowiecki
    1 / 13
    Działka budowlana o pow. 20723m2,Cząstków Mazowiecki

    Cząstków Mazowiecki

    • 1 080 000 zł cena
    • 20 723 m2 powierzchnia
    • 53 zł/m2 cena za metr
    • działka
    • na sprzedaż
    • budowlana

    Do sprzedania atrakcyjna nieruchomość gruntowa o łącznej pow. 20723m2( 2,0723 ha) położona w Cząstkowie mazowieckim, gmina Czosnów, powiat Nowy Dwór maz.( 27 km od Warszawy). Skł...

  • Sprzedam działkę-budowlana
    Sprzedam działkę-budowlana

    Pomiechówek

    • 230 zł cena
    • 800 m2 powierzchnia
    • 1 zł/m2 cena za metr
    • działka
    • na sprzedaż
    • budowlana

    Dzialka-budowlana w Pomiechowek-Brody w sąsiedztwie działek fort XVI Czarnowo